Koiran kyynärvarsi koostuu kyynär- ja värttinäluusta, jotka yhdessä olkaluun kanssa muodostavat kyynärnivelen. Värttinä- ja kyynärluu niveltyvät ranteen pikkuluiden kanssa.
Kondrodystrofisilla koiraroduilla, kuten corgeilla on perinnöllinen luiden kasvuhäiriö, joka aiheuttaa jalkojen luiden pituuskasvun häiriintymisen jo sikiöaikana.
Kaikissa kyynärnivelen kasvuhäiriöissä oireet alkavat keskimäärin 4-7 kuukauden iässä. Tyypillinen oire on ontuminen, joka voi pahentua rasituksessa tai olla voimakkainta levon jälkeen. Ontuminen voi olla jatkuvaa tai ajoittaista. Omistajan voi olla vaikea havaita koiran ontumista, jos kasvuhäiriö on molemminpuolinen. Toisinaan kasvuhäiriö on molemmissa kyynärnivelissä, vaikka koira ontuu vain toista jalkaa. Usein oireet huomataan vasta aikuisiällä ja silloin oireet johtuvat kasvuhäiriön seurauksena kehittyneestä nivelrikosta.
Luiden pituuskasvu tapahtuu rustoisten kasvulevyjen kohdalla. Pituuskasvu loppuu, kun kasvulevyt ovat luutuneet kiinni. Kaikilla kondrodystrofisten rotujen koirilla raajojen luut ovat lyhyemmät ja paksummat ja myös normaalia käyremmät, mutta toisinaan kyynärluun kasvulinja sulkeutuu liian aikaisin ja värttinäluun jatkaessa kasvuaan luiden mittasuhteet muuttuvat epänormaaleiksi. Seurauksena voi olla kyynärluun epäyhdenmukaisuus (inkongruenssi), kun ”liian pitkä” värttinäluu muodostaa portaan nivelpintaan tai värttinäluusta tulee liioitellun käyrä. Joskus värttinäluun yläpää menee osittain sijoiltaan. Joillain koirilla häiriö näkyy tassujen kiertymisenä ulospäin ja ranteiden taipumisena sisäänpäin. Kondrodystrofisilla roduilla taipumus kasvulinjan liian aikaiseen sulkeutumiseen on perinnöllinen ja siksi sitä voidaan vastustaa jalostusvalinnoilla.
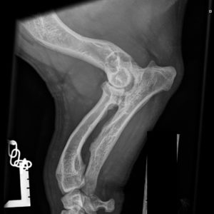
Kyynärnivelen epäyhdenmukaisuus näkyy parhaiten röntgenkuvassa, jossa niveltä ei ole taivutettu (avautumiskulma 90 astetta tai enemmän). Röntgenkuvassa täytyy näkyä kyynärnivelen lisäksi koko kyynärvarsi. Epäyhdenmukaisuus (inkongruenssi) arvioidaan asteikolla INC0 – INC3, jossa INC 0 on yhdenmukainen ja INC3 on voimakkaasti epäyhdenmukainen nivel. Kondrodystrofisilla roduilla INC1 on vielä ”normaali”, mutta INC2- ja INC3-kyynärnivelet ovat selvästi epänormaaleja.
Arvosteluasteikko:
Kuvattaessa koiran on oltava iältään vähintään 12 kk
INC0 (normaali): Nivelrako on kapea ja tasainen, kyynär- ja värttinäluun välillä ei ole porrasta. Ei nivelrikkoon viittaavia muutoksia.
INC1 (lievä): Nivelrako ei ole täysin kapea ja tasainen: kyynär- ja värttinäluun välillä on pieni porras tai nivelraossa olka- ja kyynärluun välillä on korkeintaan 2 mm leveä rako. Ei nivelrikkoon viittaavia muutoksia.
INC2 (kohtalainen): Nivelrako ei ole kapea ja tasainen: kyynär- ja värttinäluun välillä on porras tai nivelraossa (incisura trochlearis) olka- ja kyynärluun välillä on 2–3 mm leveä rako.
INC3 (vaikea): Nivelraossa olka- ja kyynärluun välillä 3 mm tai sitä leveämpi rako tai kyynär- ja värttinäluun välillä on porras, tai nivel on muuten selvästi epämuotoinen
MUUTOS PEVISA-VAATIMUKSIIN
Vuoden 2021 alusta jalostukseen käytettävien koirien terveystutkimuksiin vaadittavat kyynärkuvaustulokset ovat muuttuneet corgien osalta ED-kuvista INC-kuviin. Kummallekaan corgirodulle ei siis enää lausuta vanhaa ED-tulosta eikä siihen löydy tilattavaa terveyslähetettä vaan tilalle on tullut INC-kuvat. Eli edelleen jalostukseen käytettävä koira on kuvattava kyynärpäiden osalta.
Jo olemassa olevat viralliset ED tulokset, täyttävät PEVISA-ehtojen vaatimukset kyynärkuvista.
Tällä hetkellä INC-kuvien huonoin arvio INC3, ei sulje koiraa pois jalostuksesta, toisin kuin ED tulosten huonoin arvio. Suositus on, että kyynärpään ongelmista operoitua tai oirehtivaa/aiemmin oirehtinutta koiraa ei käytetä jalostukseen.
Kuvia virallisesti lausutuista welsh corgeista:

INC0

INC1

INC2

INC3

Operoitu
KOOSTE KYYNÄRNIVELEN KASVUHÄIRIÖKYSELYSTÄ:
SWCS ry teetätti kyselyn, jonka tulokset julkaisiin Corgiset-lehdessä 3/2021. Kooste on muodostettu kyselyyn osallistuneiden henkilöiden antamista vastauksista. Tilastoissa saattaa olla vääristymiä, sillä kaikki vastaajat eivät vastanneet lomakkeen jokaiseen kohtaan.
OIREILUN ALKUAJANKOHTA

Kyynärnivelten oireilua koskevaan kysymykseen vastaukset annettiin 113 cardiganista ja 124 pembrokesta. Näistä 97 cardiganilla (86 %) oireilua ei esiintynyt ollenkaan, kun pembrokeilla vastaava määrä oli 92 (74 %). 4–5 kuukauden iässä oireili 4 cardigania (4 %) ja 10 pembrokea (8 %). 6–7 kuukauden iässä oireili 6 cardigania (5 %) ja 5 pembrokea (4 %). 8–12 kuukauden iässä oireili 1 cardigan (1 %) sekä 2 pembrokea (2 %). Myöhemmällä iällä oireilua esiintyi 4 cardiganilla (4 %) sekä 9 pembrokella (7 %). Yhdestä cardiganista ja kuudesta pembrokesta tämä kohta oli jätetty tyhjäksi.
OIREILLEIDEN KOIRIEN SUKUPUOLET

Oireilevista cardiganeista uroksia oli 10 (67 %) ja narttuja 5 (33 %), pembrokeilla vastaavasti 17 urosta (65 %) ja 9 narttua (35 %). Johtopäätöksenä voidaan todeta, että oireilu oli selkeästi yleisempää uroksilla.
OIREILLUT RAAJAT

Eturaajojaan oireilleista koirista 10 cardigania (67 %) oireili vain toista etujalkaansa, kun pembrokeista vastaava määrä oli 22 (85 %). Molempia eturaajojaan oireilevista koirista oireili 5 cardigania (33 %) ja 4 pembrokea (15 %).
OIREILUN TIHEYS

Oireilleista koirista oireita esiintyi ajoittaisesti 11 cardiganilla (73 %) sekä 23 pembrokella (88 %). Jatkuvaa oireilu oli 3 cardiganilla (20 %) sekä 3 pembrokella (12 %). Yhden cardiganin kerrottiin oireilleen, mutta ei täsmennetty oliko oireilu jatkuvaa vai ajoittaista.
OIREIDENSA VUOKSI ELÄINLÄÄKÄRISSÄ KÄYNEET KOIRAT

Oireilleista koirista eläinlääkärissä kävi 19 cardigania ja 24 pembrokea. Näistä 8 cardiganilla (42 %) ei todettu kasvuhäiriötä lainkaan vastaavan määrän ollessa pembrokeilla 13 koiraa (54 %). Kasvuhäiriö todettiin vain toisessa kyynärnivelessä 5 cardiganilla (26 %) ja 7 pembrokella (29 %). Molemmissa kyynärnivelissä kasvuhäiriö todettiin 6 cardiganilla (32 %) ja 4 pembrokella (17 %).
OIREILLEIDEN KOIRIEN VIRALLISET LUUSTOKUVAT

Oireilleista cardiganeista 8 (53 %) kerrottiin otetun Kennelliiton arvostelemat viralliset rtg-kuvat, pembrokeilla vastaavasti 16 (62 %). 7 oireilleesta cardiganista (47 %) ei ollut otettu Kennelliiton arvostelemia virallisia rtg-kuvia, pembrokeista 9 oireillutta (35 %) oli ilman Kennelliiton arvostelemia virallisia rtg-kuvia. Lisäksi yksi pembroke oli oireillut, mutta ei täsmennetty oliko tästä koirasta otettu virallisia kuvia vai ei.
OIREILLEIDEN KOIRIEN VIRALLISET LAUSUNNOT

Ohessa on koostettuna oireilleiden koirien viralliset kyynärtutkimuslausunnot sekä ED että INC-kuvausmenetelmällä.
OIREILLEIDEN KOIRIEN NIVELRIKKO

Oireilleista cardiganeista 10 (67 %) ei todettu nivelrikkoa, pembrokeilla vastaaava määrä oli 15 (65 %). Nivelrikkoa todettiin 5 (33 %) oireilleella cardiganilla sekä 8 (35 %) oireilleella pembrokella.
Kuinka kauan oireilusta on aikaa, miten koira on voinut eturaajojensa osalta oireilun tai pentuvuosien jälkeen?
Ontuminen loppui ehkä pari kuukautta leikkauksen jälkeen. Nyt ei ole mitään oireita
Koira ontui etujalkaa, tassu ikään kuin lähti alta, mutta koira ei kuitenkaan kaatunut. Lievää aggressiota ja vihasi etupään koskettelua. Oireilu loppui huhtikuussa osteopaatin käsittelyyn eikä toistaiseksi vaikuta palanneen.
Oireilu (satunnainen ontuminen) loppui 7 kuukauden iässä. Niveliin muodostunut nivelrikkoa uusintakuvissa 1 vuoden ja 2 kuukauden iässä. Ei oireile eturaajojaan, arjessa noudatetaan fysioterapeutin ohjeistusta liikunnasta ja ravintolisistä. Hieronta + laserhoito muutaman kk:n välein.
Oireilusta nyt yli 2 vuotta, lääkekuurin jälkeen ei ole oireillut.
Alkoi oireilla noin 5 kuukauden iässä toista jalkaansa epämääräisesti. Käytin tyhmänä pientä pentua liian pitkällä lenkillä (Orinoron vaellusreitti) ja ontuma ilmeni seuraavana päivänä. Koira kuvattiin ja todettiin pientä inkongruenssia toisessa etujalassa. Oli niin lievä, ettei eläinlääkäri pitänyt leikkaushoitoa tarpeellisena. Lepoa ja kipulääkettä. Käytettiin uusintakuvassa myöhemmin (ei vir.) ja inkonguenssi oli tasaantunut. Ontuma hävisi kokonaan, sitä kesti noin kuukauden. Ei ole ontunut sen jälkeen. ED lausunto myöhemmin 0/0. Rakoa ei ollut havaittavissa ED kuvatessa, INC kuvia ei ole otettu.
Oireilusta on nyt noin 4 vuotta aikaa. Oiretta ei ole ollut ollenkaan leikkausoperaation jälkeen. Sattumalta kuitenkin INC-kuvia otettaessa tuli ilmi, ettei toisen eturaajan leikkauskohta ole luutunut oikein. Kävimme sen myötä Tampereella ortopedi Juha Kallion vastaanotolla ja koska koira on täysin oireeton, ei tämä kuitenkaan vaadi toimenpiteitä.
Oireilu oli 2-vuotiaana. Sen jälkeen ei ole ollut oireilua.
Oireilun alusta on nyt reilu vuosi, leikkauksesta pian vuosi. Koira käy yhä 2 kertaa kuussa fysioterapiassa jumppaamassa vesimatolla. 3 4 kuukauden toipumisjakson jälkeen koira ei ole ontunut vaan liike on pysynyt puhtaana. Virallisia kuvia leikatuista kyynäristä ei saa, mutta epävirallisissa kontrollikuvissa inkongruenssi oli korjaantunut miltei olemattomaksi.
Oireilu alkoi koiran ollessa noin kaksi vuotta ja kesti melkein vuoden, kunnes ongelma löydettiin INCOC-kuvien avulla. Kipulääkkeillä, levolla ja sopivalla liikunnalla oireet ovat täysin hävinneet.
Luusto-ongelmien sijaan koiralla on ollut eturaajoissaan toistuvia hauisjänteen tulehduksia. Oireilu on ajoittaista.
Oireilu rauhoittui nivelravinteiden aloittamisen jälkeen, edelleen menee säännöllisenä ravinteet. Oireilee aina ajoittain.
Oireita tulee, jos esimerkiksi pelaa palloa tai juoksee pitkä jalkojen kanssa. Jos on rauhallisesti, oireita vähemmän. Säännöllinen fysioterapeutin käsittely auttaa.
Koira ei ole oireillut pentuajan jälkeen.
Koira ontuu hieman toista etujalkaansa kovan urheilusuorituksen jälkeen heräämisen jälkeen.
Oireita oli noin 2 kuukautta, ei myöhemmin enää.
Aluksi kokeiltiin lepohoitoa mutta ontumisen pahentuessa leikkaushoito ja oireet loppui siihen. 3,5-vuotiaana todettiin nivelrikkoa lievänä kyynärpäässä, leikkauksesta vuoden jälkeen kuvattuna nivel oli vielä terve. Nykyään satunnaista ontumista kovan rasituksen jälkeen.
Ontumista esiintyi kerran kasvuiässä, ei sen koommin uudestaan.
Koira ei ole oireillut eturaajojaan, vaikka ne ovat voimakkaasti taipuneet sivulle.
Ontumista ilmeni kovemman rasituksen jälkeen ajoittain noin kuukauden ajan. Oireilusta siis yli vuosi. Sen jälkeen ei oireita.
Koira leikattiin 8 kuukauden ikäisenä, kun oireilu ei levosta, tulehduskipulääkkeistä ja fysioterapiasta huolimatta helpottanut. Leikkauksesta on nyt kulunut 8 kuukautta ja jalka on hyvä. Kontrollikuvissa ei nivelrikkomuutoksia. Koira on todella vilkas ja aktiivinen, jalka kestää nyt hyvin. Ajoittaista jäykkyyttä vielä havaittavissa isomman riehumisen jälkeen. Fysioterapiassa käydään yhä noin 2 kuukauden välein ja tullaan varmasti käymään joitakin kertoja vuodessa koko koiran elämän ajan.
Koiralla jatkuva kipulääkitys, ja oireilee ajoittain. Lääkityksen ja muun hoidon ansiosta kuitenkin kohtuullisen reipas. Lenkkeilyä on jouduttu rajoittamaan huomattavasti. Käymme säännöllisesti eläinlääkärissä seurannassa. Takaraajojen nivelrikko + selän ongelmat vaikeuttavat asiaa.
Oireilusta noin 5 vuotta. Ei ole oireillut sitten pentuvuosien.
Koira sai nivelrikkodiagnoosin keväällä 2020, oireilua on ollut loppuvuodesta 2018 asti.
Oikean etusen ajoittainen ontuminen alkoi noin 2 vuoden iässä. Tällöin hoitona laser, hieronta, tulehduskipulääke. Oikea kyynärä on luokitukselta 2. Koiramme on nyt 6-vuotias ja pysyy oireettomana RC Mobility -nivelten hyvinvointia edistävän dieetin, jumpan, liikunnan ja kuukausittaisten Cartrophen-pistosten avulla. Viettää aktiivista ja hyvää koiranelämää.
Ei kasvuhäiriötä. Kyynärnivelen nivelrikko todettu 6-vuotiaana. Oireilee rasituksen jälkeen ontumalla liikkeelle lähtiessä.
Leikkauksesta on nyt puoli vuotta, ja vikaa saatiin korjattua jonkin verran paremmaksi, eli nivelrikkoa ei pitäisi enää tulla ainakaan nuorempana.
Koiran ontumavaihe kesti noin 2 kuukautta. Kontrolliröntgenit 2, 4 ja 6 kuukautta oireiden alusta ja kastroinnin yhteydessä 2-vuotiaana.
Oireilun syynä nivelrikko, joka todettiin 2019.
Oireilun alusta on nyt noin 2 vuotta. Koira elää ilman kipulääkkeitä mutta liike on hidastunut / nopea liike ei ole ihan puhdasta ja kroppa lyö helposti jumiin. Jumit heijastuvat selkään.
Koiramme oireili uudelleen noin puolen vuoden iässä ontumalla ja liikkumisinnottomuudella. Otettiin uudet röntgen kuvat ja verrattiin niitä aiemmin huhtikuussa olleisiin röntgenkuviin. Ontuminen kuitenkin meni ohi iän karttuessa. Meille suositeltiin jo pentuna leikkausta, mutta sitä ei tehty lopulta päätöksestämme.
Oireilu loppui 6–7 kuukauden ikäisenä. 5 kuukauden iästä lähtien annettu Nutrolin Hip&Joint.
Oireilu lisääntynyt iän myötä; oireilee vain rasituksessa ja voimakkaan rasituksen jälkeen. Oireilu satunnaista, vastaa hyvin tukihoitoon ja tarpeen mukaan kipulääkkeeseen.
Oireilusta nyt reilu vuosi. Arvio on, että liittyy DM:ään.
Oireilu päättyi kipupistossarjan jälkeen, uusia kuvia ei ole otettu vielä mutta oireet eivät ole palanneet.
Koiran etujalat leikattiin, ja leikkauksien jälkeen ei ole ollut enää oireita ja eläinlääkäri antoi luvan elää "normaalia" elämää. Tästä on nyt aikaa vajaa kaksi vuotta. Tänä kesänä koiralla todettiin myös löystynyt lonkka, ja jalka on alkanut naksumaan ja liikuntaa jouduttu vähentämään.
Miten vaivaa hoidettiin tai hoidetaan?
Säilyttämällä vanhat kuvat ja vertaamalla niitä aina edellisiin, kun uusia otetaan.
Fysioterapeutin käsittelyllä.
Painon tarkkailulla. Jos saa liikuntaa säännöllisesti ja paino pysyy hallinnassa, ei ontumista/jäykkyyttä ole näkyvissä. Vasen tassu oireilee tällöin.
Fysioterapialla ja vesijuoksulla, lämpöhoidolla (koiralla todettiin lisäksi lonkkaniveldysplasia + nivelrikko molemmissa takaraajoissa sekä selässä kalkkeutumia).
Kipulääkekuurilla 2 viikkoa, nivelravinne ruokinnan rinnalle, vähähiilihydraattinen ruoka. Muu hoito hieronta, joka tuntui auttavan välittömästi.
Runsaasti koiraehtoista liikuntaa vaihtelevassa maastossa. Ei yhtään pakotettua hihnalenkkiä asfaltilla.
Tasapainotyynyillä jumppailtiin jalkaa leikkauksen jälkeen. Lisäksi olkavartta laseroitiin.
Vesijuoksumatolla, tasapainolevyllä.
Lähteet: ell Anu Lappalainen, kennelliitto.fi, Corgiset lehti 1/2021, Corgiset lehti 3/2021
Kondrodystrofisilla koiraroduilla, kuten corgeilla on perinnöllinen luiden kasvuhäiriö, joka aiheuttaa jalkojen luiden pituuskasvun häiriintymisen jo sikiöaikana.
Kaikissa kyynärnivelen kasvuhäiriöissä oireet alkavat keskimäärin 4-7 kuukauden iässä. Tyypillinen oire on ontuminen, joka voi pahentua rasituksessa tai olla voimakkainta levon jälkeen. Ontuminen voi olla jatkuvaa tai ajoittaista. Omistajan voi olla vaikea havaita koiran ontumista, jos kasvuhäiriö on molemminpuolinen. Toisinaan kasvuhäiriö on molemmissa kyynärnivelissä, vaikka koira ontuu vain toista jalkaa. Usein oireet huomataan vasta aikuisiällä ja silloin oireet johtuvat kasvuhäiriön seurauksena kehittyneestä nivelrikosta.
Luiden pituuskasvu tapahtuu rustoisten kasvulevyjen kohdalla. Pituuskasvu loppuu, kun kasvulevyt ovat luutuneet kiinni. Kaikilla kondrodystrofisten rotujen koirilla raajojen luut ovat lyhyemmät ja paksummat ja myös normaalia käyremmät, mutta toisinaan kyynärluun kasvulinja sulkeutuu liian aikaisin ja värttinäluun jatkaessa kasvuaan luiden mittasuhteet muuttuvat epänormaaleiksi. Seurauksena voi olla kyynärluun epäyhdenmukaisuus (inkongruenssi), kun ”liian pitkä” värttinäluu muodostaa portaan nivelpintaan tai värttinäluusta tulee liioitellun käyrä. Joskus värttinäluun yläpää menee osittain sijoiltaan. Joillain koirilla häiriö näkyy tassujen kiertymisenä ulospäin ja ranteiden taipumisena sisäänpäin. Kondrodystrofisilla roduilla taipumus kasvulinjan liian aikaiseen sulkeutumiseen on perinnöllinen ja siksi sitä voidaan vastustaa jalostusvalinnoilla.
Kyynärnivelen epäyhdenmukaisuus näkyy parhaiten röntgenkuvassa, jossa niveltä ei ole taivutettu (avautumiskulma 90 astetta tai enemmän). Röntgenkuvassa täytyy näkyä kyynärnivelen lisäksi koko kyynärvarsi. Epäyhdenmukaisuus (inkongruenssi) arvioidaan asteikolla INC0 – INC3, jossa INC 0 on yhdenmukainen ja INC3 on voimakkaasti epäyhdenmukainen nivel. Kondrodystrofisilla roduilla INC1 on vielä ”normaali”, mutta INC2- ja INC3-kyynärnivelet ovat selvästi epänormaaleja.
Arvosteluasteikko:
Kuvattaessa koiran on oltava iältään vähintään 12 kk
INC0 (normaali): Nivelrako on kapea ja tasainen, kyynär- ja värttinäluun välillä ei ole porrasta. Ei nivelrikkoon viittaavia muutoksia.
INC1 (lievä): Nivelrako ei ole täysin kapea ja tasainen: kyynär- ja värttinäluun välillä on pieni porras tai nivelraossa olka- ja kyynärluun välillä on korkeintaan 2 mm leveä rako. Ei nivelrikkoon viittaavia muutoksia.
INC2 (kohtalainen): Nivelrako ei ole kapea ja tasainen: kyynär- ja värttinäluun välillä on porras tai nivelraossa (incisura trochlearis) olka- ja kyynärluun välillä on 2–3 mm leveä rako.
INC3 (vaikea): Nivelraossa olka- ja kyynärluun välillä 3 mm tai sitä leveämpi rako tai kyynär- ja värttinäluun välillä on porras, tai nivel on muuten selvästi epämuotoinen
MUUTOS PEVISA-VAATIMUKSIIN
Vuoden 2021 alusta jalostukseen käytettävien koirien terveystutkimuksiin vaadittavat kyynärkuvaustulokset ovat muuttuneet corgien osalta ED-kuvista INC-kuviin. Kummallekaan corgirodulle ei siis enää lausuta vanhaa ED-tulosta eikä siihen löydy tilattavaa terveyslähetettä vaan tilalle on tullut INC-kuvat. Eli edelleen jalostukseen käytettävä koira on kuvattava kyynärpäiden osalta.
Jo olemassa olevat viralliset ED tulokset, täyttävät PEVISA-ehtojen vaatimukset kyynärkuvista.
Tällä hetkellä INC-kuvien huonoin arvio INC3, ei sulje koiraa pois jalostuksesta, toisin kuin ED tulosten huonoin arvio. Suositus on, että kyynärpään ongelmista operoitua tai oirehtivaa/aiemmin oirehtinutta koiraa ei käytetä jalostukseen.
Kuvia virallisesti lausutuista welsh corgeista:

INC0

INC1

INC2

INC3

Operoitu
KOOSTE KYYNÄRNIVELEN KASVUHÄIRIÖKYSELYSTÄ:
SWCS ry teetätti kyselyn, jonka tulokset julkaisiin Corgiset-lehdessä 3/2021. Kooste on muodostettu kyselyyn osallistuneiden henkilöiden antamista vastauksista. Tilastoissa saattaa olla vääristymiä, sillä kaikki vastaajat eivät vastanneet lomakkeen jokaiseen kohtaan.
OIREILUN ALKUAJANKOHTA

Kyynärnivelten oireilua koskevaan kysymykseen vastaukset annettiin 113 cardiganista ja 124 pembrokesta. Näistä 97 cardiganilla (86 %) oireilua ei esiintynyt ollenkaan, kun pembrokeilla vastaava määrä oli 92 (74 %). 4–5 kuukauden iässä oireili 4 cardigania (4 %) ja 10 pembrokea (8 %). 6–7 kuukauden iässä oireili 6 cardigania (5 %) ja 5 pembrokea (4 %). 8–12 kuukauden iässä oireili 1 cardigan (1 %) sekä 2 pembrokea (2 %). Myöhemmällä iällä oireilua esiintyi 4 cardiganilla (4 %) sekä 9 pembrokella (7 %). Yhdestä cardiganista ja kuudesta pembrokesta tämä kohta oli jätetty tyhjäksi.
OIREILLEIDEN KOIRIEN SUKUPUOLET

Oireilevista cardiganeista uroksia oli 10 (67 %) ja narttuja 5 (33 %), pembrokeilla vastaavasti 17 urosta (65 %) ja 9 narttua (35 %). Johtopäätöksenä voidaan todeta, että oireilu oli selkeästi yleisempää uroksilla.
OIREILLUT RAAJAT

Eturaajojaan oireilleista koirista 10 cardigania (67 %) oireili vain toista etujalkaansa, kun pembrokeista vastaava määrä oli 22 (85 %). Molempia eturaajojaan oireilevista koirista oireili 5 cardigania (33 %) ja 4 pembrokea (15 %).
OIREILUN TIHEYS

Oireilleista koirista oireita esiintyi ajoittaisesti 11 cardiganilla (73 %) sekä 23 pembrokella (88 %). Jatkuvaa oireilu oli 3 cardiganilla (20 %) sekä 3 pembrokella (12 %). Yhden cardiganin kerrottiin oireilleen, mutta ei täsmennetty oliko oireilu jatkuvaa vai ajoittaista.
OIREIDENSA VUOKSI ELÄINLÄÄKÄRISSÄ KÄYNEET KOIRAT

Oireilleista koirista eläinlääkärissä kävi 19 cardigania ja 24 pembrokea. Näistä 8 cardiganilla (42 %) ei todettu kasvuhäiriötä lainkaan vastaavan määrän ollessa pembrokeilla 13 koiraa (54 %). Kasvuhäiriö todettiin vain toisessa kyynärnivelessä 5 cardiganilla (26 %) ja 7 pembrokella (29 %). Molemmissa kyynärnivelissä kasvuhäiriö todettiin 6 cardiganilla (32 %) ja 4 pembrokella (17 %).
OIREILLEIDEN KOIRIEN VIRALLISET LUUSTOKUVAT

Oireilleista cardiganeista 8 (53 %) kerrottiin otetun Kennelliiton arvostelemat viralliset rtg-kuvat, pembrokeilla vastaavasti 16 (62 %). 7 oireilleesta cardiganista (47 %) ei ollut otettu Kennelliiton arvostelemia virallisia rtg-kuvia, pembrokeista 9 oireillutta (35 %) oli ilman Kennelliiton arvostelemia virallisia rtg-kuvia. Lisäksi yksi pembroke oli oireillut, mutta ei täsmennetty oliko tästä koirasta otettu virallisia kuvia vai ei.
OIREILLEIDEN KOIRIEN VIRALLISET LAUSUNNOT


Ohessa on koostettuna oireilleiden koirien viralliset kyynärtutkimuslausunnot sekä ED että INC-kuvausmenetelmällä.
OIREILLEIDEN KOIRIEN NIVELRIKKO

Oireilleista cardiganeista 10 (67 %) ei todettu nivelrikkoa, pembrokeilla vastaaava määrä oli 15 (65 %). Nivelrikkoa todettiin 5 (33 %) oireilleella cardiganilla sekä 8 (35 %) oireilleella pembrokella.
Kuinka kauan oireilusta on aikaa, miten koira on voinut eturaajojensa osalta oireilun tai pentuvuosien jälkeen?
Ontuminen loppui ehkä pari kuukautta leikkauksen jälkeen. Nyt ei ole mitään oireita
Koira ontui etujalkaa, tassu ikään kuin lähti alta, mutta koira ei kuitenkaan kaatunut. Lievää aggressiota ja vihasi etupään koskettelua. Oireilu loppui huhtikuussa osteopaatin käsittelyyn eikä toistaiseksi vaikuta palanneen.
Oireilu (satunnainen ontuminen) loppui 7 kuukauden iässä. Niveliin muodostunut nivelrikkoa uusintakuvissa 1 vuoden ja 2 kuukauden iässä. Ei oireile eturaajojaan, arjessa noudatetaan fysioterapeutin ohjeistusta liikunnasta ja ravintolisistä. Hieronta + laserhoito muutaman kk:n välein.
Oireilusta nyt yli 2 vuotta, lääkekuurin jälkeen ei ole oireillut.
Alkoi oireilla noin 5 kuukauden iässä toista jalkaansa epämääräisesti. Käytin tyhmänä pientä pentua liian pitkällä lenkillä (Orinoron vaellusreitti) ja ontuma ilmeni seuraavana päivänä. Koira kuvattiin ja todettiin pientä inkongruenssia toisessa etujalassa. Oli niin lievä, ettei eläinlääkäri pitänyt leikkaushoitoa tarpeellisena. Lepoa ja kipulääkettä. Käytettiin uusintakuvassa myöhemmin (ei vir.) ja inkonguenssi oli tasaantunut. Ontuma hävisi kokonaan, sitä kesti noin kuukauden. Ei ole ontunut sen jälkeen. ED lausunto myöhemmin 0/0. Rakoa ei ollut havaittavissa ED kuvatessa, INC kuvia ei ole otettu.
Oireilusta on nyt noin 4 vuotta aikaa. Oiretta ei ole ollut ollenkaan leikkausoperaation jälkeen. Sattumalta kuitenkin INC-kuvia otettaessa tuli ilmi, ettei toisen eturaajan leikkauskohta ole luutunut oikein. Kävimme sen myötä Tampereella ortopedi Juha Kallion vastaanotolla ja koska koira on täysin oireeton, ei tämä kuitenkaan vaadi toimenpiteitä.
Oireilu oli 2-vuotiaana. Sen jälkeen ei ole ollut oireilua.
Oireilun alusta on nyt reilu vuosi, leikkauksesta pian vuosi. Koira käy yhä 2 kertaa kuussa fysioterapiassa jumppaamassa vesimatolla. 3 4 kuukauden toipumisjakson jälkeen koira ei ole ontunut vaan liike on pysynyt puhtaana. Virallisia kuvia leikatuista kyynäristä ei saa, mutta epävirallisissa kontrollikuvissa inkongruenssi oli korjaantunut miltei olemattomaksi.
Oireilu alkoi koiran ollessa noin kaksi vuotta ja kesti melkein vuoden, kunnes ongelma löydettiin INCOC-kuvien avulla. Kipulääkkeillä, levolla ja sopivalla liikunnalla oireet ovat täysin hävinneet.
Luusto-ongelmien sijaan koiralla on ollut eturaajoissaan toistuvia hauisjänteen tulehduksia. Oireilu on ajoittaista.
Oireilu rauhoittui nivelravinteiden aloittamisen jälkeen, edelleen menee säännöllisenä ravinteet. Oireilee aina ajoittain.
Oireita tulee, jos esimerkiksi pelaa palloa tai juoksee pitkä jalkojen kanssa. Jos on rauhallisesti, oireita vähemmän. Säännöllinen fysioterapeutin käsittely auttaa.
Koira ei ole oireillut pentuajan jälkeen.
Koira ontuu hieman toista etujalkaansa kovan urheilusuorituksen jälkeen heräämisen jälkeen.
Oireita oli noin 2 kuukautta, ei myöhemmin enää.
Aluksi kokeiltiin lepohoitoa mutta ontumisen pahentuessa leikkaushoito ja oireet loppui siihen. 3,5-vuotiaana todettiin nivelrikkoa lievänä kyynärpäässä, leikkauksesta vuoden jälkeen kuvattuna nivel oli vielä terve. Nykyään satunnaista ontumista kovan rasituksen jälkeen.
Ontumista esiintyi kerran kasvuiässä, ei sen koommin uudestaan.
Koira ei ole oireillut eturaajojaan, vaikka ne ovat voimakkaasti taipuneet sivulle.
Ontumista ilmeni kovemman rasituksen jälkeen ajoittain noin kuukauden ajan. Oireilusta siis yli vuosi. Sen jälkeen ei oireita.
Koira leikattiin 8 kuukauden ikäisenä, kun oireilu ei levosta, tulehduskipulääkkeistä ja fysioterapiasta huolimatta helpottanut. Leikkauksesta on nyt kulunut 8 kuukautta ja jalka on hyvä. Kontrollikuvissa ei nivelrikkomuutoksia. Koira on todella vilkas ja aktiivinen, jalka kestää nyt hyvin. Ajoittaista jäykkyyttä vielä havaittavissa isomman riehumisen jälkeen. Fysioterapiassa käydään yhä noin 2 kuukauden välein ja tullaan varmasti käymään joitakin kertoja vuodessa koko koiran elämän ajan.
Koiralla jatkuva kipulääkitys, ja oireilee ajoittain. Lääkityksen ja muun hoidon ansiosta kuitenkin kohtuullisen reipas. Lenkkeilyä on jouduttu rajoittamaan huomattavasti. Käymme säännöllisesti eläinlääkärissä seurannassa. Takaraajojen nivelrikko + selän ongelmat vaikeuttavat asiaa.
Oireilusta noin 5 vuotta. Ei ole oireillut sitten pentuvuosien.
Koira sai nivelrikkodiagnoosin keväällä 2020, oireilua on ollut loppuvuodesta 2018 asti.
Oikean etusen ajoittainen ontuminen alkoi noin 2 vuoden iässä. Tällöin hoitona laser, hieronta, tulehduskipulääke. Oikea kyynärä on luokitukselta 2. Koiramme on nyt 6-vuotias ja pysyy oireettomana RC Mobility -nivelten hyvinvointia edistävän dieetin, jumpan, liikunnan ja kuukausittaisten Cartrophen-pistosten avulla. Viettää aktiivista ja hyvää koiranelämää.
Ei kasvuhäiriötä. Kyynärnivelen nivelrikko todettu 6-vuotiaana. Oireilee rasituksen jälkeen ontumalla liikkeelle lähtiessä.
Leikkauksesta on nyt puoli vuotta, ja vikaa saatiin korjattua jonkin verran paremmaksi, eli nivelrikkoa ei pitäisi enää tulla ainakaan nuorempana.
Koiran ontumavaihe kesti noin 2 kuukautta. Kontrolliröntgenit 2, 4 ja 6 kuukautta oireiden alusta ja kastroinnin yhteydessä 2-vuotiaana.
Oireilun syynä nivelrikko, joka todettiin 2019.
Oireilun alusta on nyt noin 2 vuotta. Koira elää ilman kipulääkkeitä mutta liike on hidastunut / nopea liike ei ole ihan puhdasta ja kroppa lyö helposti jumiin. Jumit heijastuvat selkään.
Koiramme oireili uudelleen noin puolen vuoden iässä ontumalla ja liikkumisinnottomuudella. Otettiin uudet röntgen kuvat ja verrattiin niitä aiemmin huhtikuussa olleisiin röntgenkuviin. Ontuminen kuitenkin meni ohi iän karttuessa. Meille suositeltiin jo pentuna leikkausta, mutta sitä ei tehty lopulta päätöksestämme.
Oireilu loppui 6–7 kuukauden ikäisenä. 5 kuukauden iästä lähtien annettu Nutrolin Hip&Joint.
Oireilu lisääntynyt iän myötä; oireilee vain rasituksessa ja voimakkaan rasituksen jälkeen. Oireilu satunnaista, vastaa hyvin tukihoitoon ja tarpeen mukaan kipulääkkeeseen.
Oireilusta nyt reilu vuosi. Arvio on, että liittyy DM:ään.
Oireilu päättyi kipupistossarjan jälkeen, uusia kuvia ei ole otettu vielä mutta oireet eivät ole palanneet.
Koiran etujalat leikattiin, ja leikkauksien jälkeen ei ole ollut enää oireita ja eläinlääkäri antoi luvan elää "normaalia" elämää. Tästä on nyt aikaa vajaa kaksi vuotta. Tänä kesänä koiralla todettiin myös löystynyt lonkka, ja jalka on alkanut naksumaan ja liikuntaa jouduttu vähentämään.
Miten vaivaa hoidettiin tai hoidetaan?
Säilyttämällä vanhat kuvat ja vertaamalla niitä aina edellisiin, kun uusia otetaan.
Fysioterapeutin käsittelyllä.
Painon tarkkailulla. Jos saa liikuntaa säännöllisesti ja paino pysyy hallinnassa, ei ontumista/jäykkyyttä ole näkyvissä. Vasen tassu oireilee tällöin.
Fysioterapialla ja vesijuoksulla, lämpöhoidolla (koiralla todettiin lisäksi lonkkaniveldysplasia + nivelrikko molemmissa takaraajoissa sekä selässä kalkkeutumia).
Kipulääkekuurilla 2 viikkoa, nivelravinne ruokinnan rinnalle, vähähiilihydraattinen ruoka. Muu hoito hieronta, joka tuntui auttavan välittömästi.
Runsaasti koiraehtoista liikuntaa vaihtelevassa maastossa. Ei yhtään pakotettua hihnalenkkiä asfaltilla.
Tasapainotyynyillä jumppailtiin jalkaa leikkauksen jälkeen. Lisäksi olkavartta laseroitiin.
Vesijuoksumatolla, tasapainolevyllä.
Lähteet: ell Anu Lappalainen, kennelliitto.fi, Corgiset lehti 1/2021, Corgiset lehti 3/2021